3
$374,900 Sale
Listed 9 hours ago
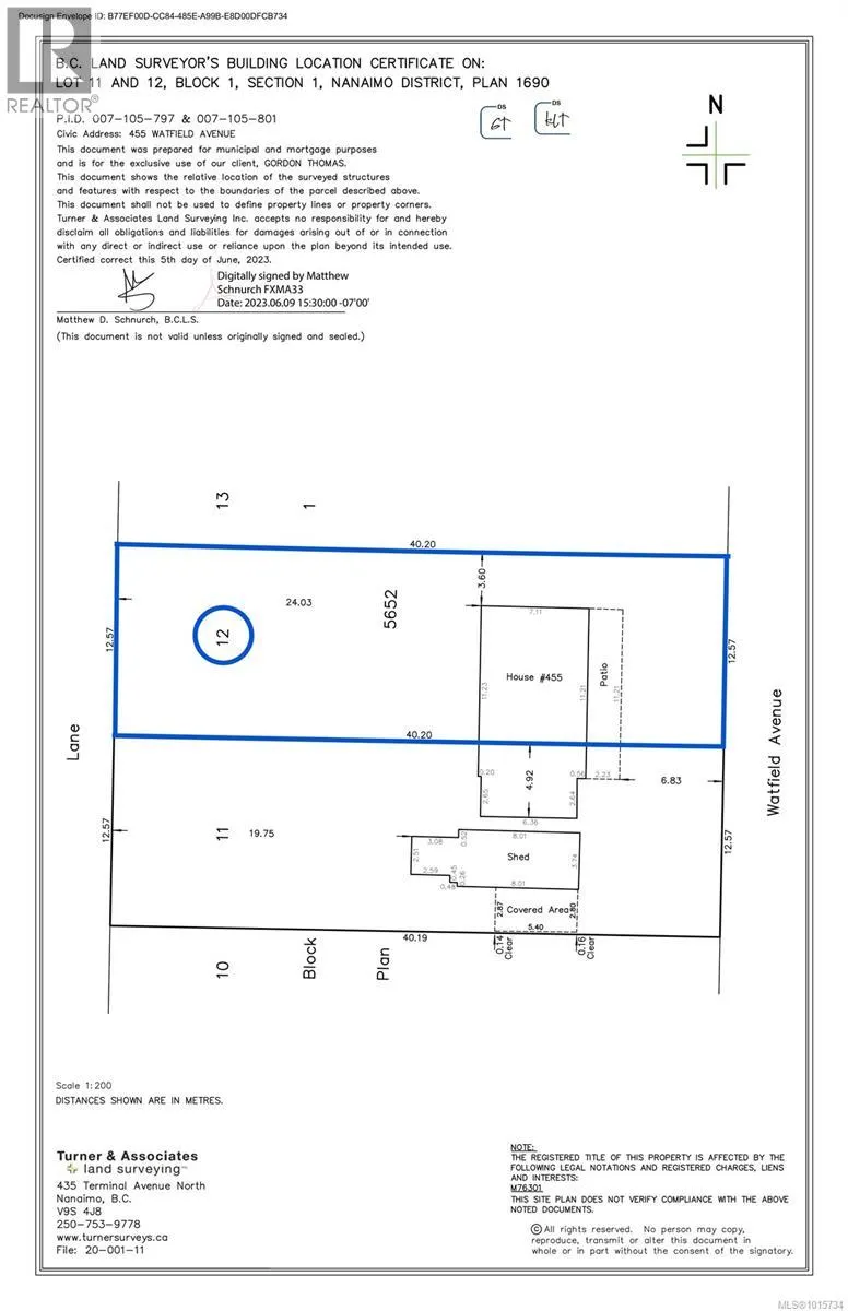
453 Watfield Ave
· 0
· 0.0
· 3
· -
Key Facts
Key facts for 453 Watfield Ave
Property Type
Lots/Land
Parking
Garage: No, 3 parking
MLS #
1015734
Size
-
Basement
-
Listed on
-
Lot size
-
Tax
-
Days on Market
-
Year Built
-
Maintenance Fee
-
Description
Welcome to 453 Watfield! This 5,435 sqft flat lot is a rare opportunity, zoned R1 and R5, offering flexibility for a variety of builds. With alley access and carriage house potential, you can create a single-family home with suite and carriage house, or even a tri- or four-plex. Essential services, ...including sewer and water, are already at the lot line (storm drainage still required). Ideally located just 3 blocks from VIU and close to parks, shops, and schools, this property combines convenience, strong income potential, and a vibrant lifestyle. Priced BELOW assessment. (id:10452)
Similar Properties (No results)
Listing courtesy of: Royal LePage Nanaimo Realty (NanIsHwyN)
This REALTOR.ca listing content is owned and licensed by REALTOR® members of The Canadian Real Estate Association.